Local Service Overview

Get Black Ant Extermination in Caddo Mills, TX

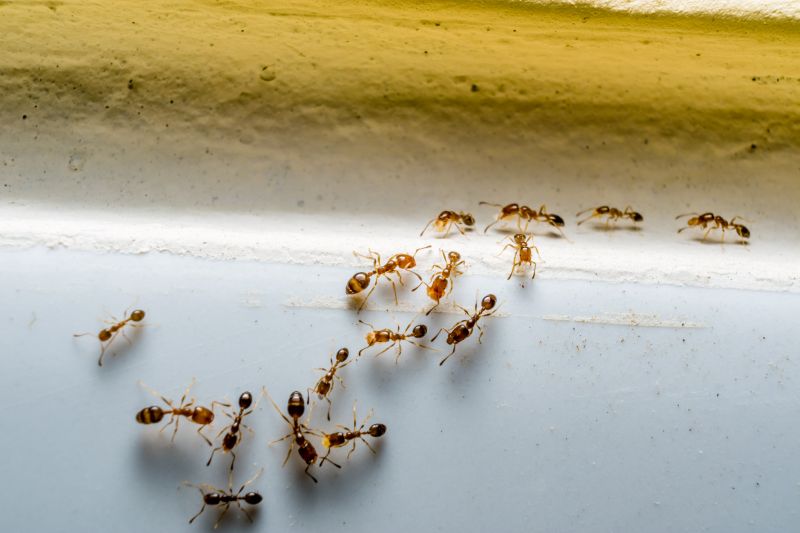
Black Ant Extermination services for property owners in Caddo Mills, TX, and nearby areas address ant infestations, prevent future invasions, and treat affected structures.

Caddo Mills, TX

Black ant extermination services are a practical solution for property owners in Caddo Mills, TX seeking to maintain a comfortable and safe environment. These services help prevent ant infestations that can cause discomfort, damage to structures, and contamination of food supplies. By addressing ant issues promptly, property owners can enjoy a more functional living or working space, free from the disruptions and nuisances that pests can bring.

Choosing professional extermination services offers benefits such as enhanced durability of the property’s structure and reduced ongoing maintenance needs. Effective ant control contributes to improved curb appeal by preventing unsightly trails and nests, helping properties retain their aesthetic value. Engaging experienced providers ensures that pest problems are managed efficiently, supporting long-term comfort and safety for residents and visitors alike.

Get Black Ant Extermination Quotes

  • Ant Extermination - needed when ant colonies invade homes or businesses in the area.
  • Carpenter Ant Control - required if wood structures show signs of ant activity or damage.
  • Fire Ant Removal - necessary for outdoor spaces with mounds causing hazards or nuisance.
  • Odorous House Ant Treatment - appropriate when these ants are found inside kitchens or living areas.
  • Pavement Ant Eradication - needed in areas with ant trails along driveways, sidewalks, or foundations.

Get Black Ant Extermination Quotes

Black Ant Extermination
Black Ant Extermination
Black Ant Extermination

Black ant extermination services focus on eliminating ant infestations from residential and commercial properties. These services typically involve identifying the source of the ant problem, applying targeted treatments to affected areas, and implementing strategies to prevent future invasions. Professionals may use a combination of baiting, trapping, and chemical treatments to effectively reduce or eradicate black ant populations. The goal is to address the immediate pest issue while minimizing disruption to the property and its occupants.

Black ants can cause multiple problems for property owners. They often invade kitchens, pantries, and other areas where food is stored, leading to contamination and unsanitary conditions. In addition to food-related issues, large ant colonies can cause structural damage by nesting in wall voids or under foundations. Their presence can also be a nuisance, with persistent trails and swarms disrupting daily activities. Professional extermination services are designed to control these pests efficiently, reducing the risk of ongoing infestations and associated problems.

Properties that commonly utilize black ant extermination services include single-family homes, apartment complexes, restaurants, grocery stores, and other commercial establishments. Residential properties often seek treatment to protect food supplies and maintain a clean living environment. Commercial properties, especially those involved in food preparation or storage, prioritize pest control to comply with health standards and ensure customer satisfaction. Additionally, multi-unit buildings and institutional facilities may require regular pest management to prevent widespread infestations.

Professional black ant extermination services are tailored to the specific needs of each property type. Service providers conduct thorough inspections to locate nests and entry points, then develop customized treatment plans. These plans may incorporate both immediate eradication measures and long-term prevention strategies. Property owners and managers can contact local pest control specialists to address ant issues effectively, ensuring that their spaces remain pest-free and safe for residents, employees, and visitors.

The overview below groups typical Black Ant Extermination projects into broad ranges so you can see how smaller, mid-sized, and larger jobs often compare in Caddo Mills, TX.

In many markets, a large share of routine jobs stays in the lower and middle ranges, while only a smaller percentage of projects moves into the highest bands when the work is more complex or site conditions are harder than average.

Initial Inspection - The cost for a black ant extermination inspection typically ranges from $50 to $150. This fee covers assessing the extent of the infestation and identifying entry points. Prices may vary depending on property size and location.

One-Time Treatment - A single treatment for black ant removal generally costs between $100 and $300. The price depends on the size of the affected area and the level of infestation, with larger properties often incurring higher costs.

Multiple Treatments - For ongoing ant control, service providers may offer packages costing $200 to $600. These usually include several visits to ensure complete eradication and prevent future invasions.

Maintenance Plans - Regular maintenance or preventative treatments can range from $50 to $150 per visit. The cost varies based on property size and the frequency of service required to keep black ants at bay.

Actual totals will depend on details like access to the work area, the scope of the project, and the materials selected, so use these as general starting points rather than exact figures.

Get a Black Ant Extermination Quote

Ant Extermination services focus on identifying and eliminating black ant colonies to prevent infestations in residential and commercial properties. Local pros use targeted treatments to address specific ant activity and reduce future problems.

Indoor Pest Control providers offer comprehensive solutions for black ant issues inside homes and buildings, including baiting and residual treatments. They help ensure a pest-free environment through tailored approaches.

Outdoor Pest Management specialists target black ant nests located in yards, gardens, and landscape areas. Their services aim to control colonies before they invade indoor spaces or cause damage.

Sanitation and Exclusion Services contractors assist with sealing entry points and improving sanitation practices to limit black ant access and attractants around properties. These measures support long-term pest prevention.

Residential Pest Control providers deliver customized black ant treatment plans for homes, focusing on safe and effective methods to manage infestations. They work to protect household environments from future invasions.

Commercial Pest Management services address black ant problems in business settings, including restaurants and warehouses, ensuring compliance and maintaining pest-free facilities. Local pros develop strategies suited to commercial needs.

Black Ant Extermination

When selecting a professional for black ant extermination, it is important to consider their level of experience and familiarity with local ant species and infestation patterns. Homeowners should look for service providers who have a proven track record of handling similar pest issues in the area, as this can indicate a deeper understanding of effective treatment methods. Additionally, reviewing written expectations and service plans can help clarify the scope of work, ensuring that both parties are aligned on the procedures and any follow-up measures.

Reputable references and reviews can serve as valuable indicators of a contractor’s reliability and quality of work. Homeowners are encouraged to seek out local service providers with positive feedback from previous clients, which can often be found through online reviews or community recommendations. This feedback can provide insights into the professionalism, effectiveness, and transparency of the pros, making it easier to identify trusted options for ant extermination services.

Effective communication is another critical factor when comparing local pest control providers. Clear and prompt responses to inquiries, detailed explanations of treatment options, and transparent discussions about service expectations contribute to a smoother experience. Since the site introduces local pros rather than performing the work directly, it is recommended that homeowners contact the providers directly to discuss their specific needs and confirm that the chosen professional’s approach aligns with their expectations.

Get a Black Ant Extermination Quote

Property owners in Caddo Mills, TX use Black Ant Extermination services for practical projects around their homes and businesses. The sections below highlight everyday jobs and straightforward project options.

Black Ant Extermination
Black Ant Extermination

Black ant extermination services are often sought after by property owners in Caddo Mills, TX, who encounter persistent ant infestations in their homes or businesses. Common situations include discovering large ant colonies inside walls, around foundations, or in outdoor landscaping, which can lead to concerns about property damage or hygiene. Local service providers can assist with targeted treatments to eliminate these pests and prevent future invasions, helping property owners maintain a clean and pest-free environment.

Property owners may also look for black ant extermination when noticing increased ant activity during warm months or after recent construction or landscaping projects. These insects can quickly become a nuisance, especially if they invade kitchens, pantries, or storage areas. Connecting with local pros can provide effective solutions to control and remove ant populations, addressing immediate concerns and reducing the likelihood of recurring issues.

Get a Black Ant Extermination Quote

How do pest control pros eliminate black ants? Local service providers typically use targeted treatments such as baits, sprays, or dusts to effectively reduce black ant populations.

Are black ants likely to return after treatment? Proper treatment by experienced professionals can significantly minimize the chances of black ants returning, though ongoing prevention may be recommended.

What signs indicate a black ant infestation? Common signs include visible ants crawling indoors, ant trails, and small piles of dirt or debris near entry points.

How long does black ant extermination usually take? The duration varies depending on the extent of the infestation, but most treatments are completed within a single visit by local pros.

Can I prevent black ants from returning? Yes, local pest control providers can advise on sealing entry points and removing attractants to help prevent future infestations.

Black Ant Extermination Methods - Local service providers can offer various techniques to effectively eliminate black ants from residential or commercial properties.

Inspection and Identification - Professionals can identify ant entry points and nesting areas to determine the most effective treatment strategies.

Preventive Solutions - Service providers may recommend ongoing prevention measures to reduce the likelihood of future ant infestations.

Customized Treatment Plans - Local experts can develop tailored extermination plans based on the extent of the ant problem and property specifics.

Black Ant Extermination

Considering Black Ant Extermination for a property in Caddo Mills, TX? The sections above highlight common project types, practical options, and details that often shape the scope of work.

When you are ready, use the quote form to share a few details about your project. Local pros can review the basics and respond with options that match what you have in mind.

Get a Black Ant Extermination Quote

Black Ant Extermination Quotes

Our Trusted Partners
Cantu Pest Control
Orkin
Hawx Pest Control