Local Service Overview

Get Ants Extermination Service in Rowlett, TX

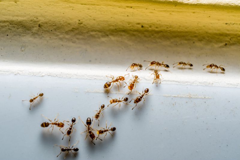
Ants extermination services for property owners in Rowlett, TX, address ant infestations, prevent future invasions, and handle residential and commercial ant control projects.

Rowlett, TX

Ants extermination services in Rowlett, TX, address a common concern for property owners seeking to maintain a comfortable and safe living environment. Effective pest control helps prevent infestations that can disrupt daily routines, damage structures, and compromise hygiene. By partnering with experienced service providers, property owners can enjoy peace of mind knowing that their homes and businesses are protected from persistent ant problems, reducing the likelihood of recurring issues and minimizing the need for frequent treatments.

Choosing professional ant extermination services offers several practical benefits, including enhanced safety and improved curb appeal. Properly managed pest control can help preserve the durability of structures by preventing damage caused by ants and other pests. Additionally, a pest-free property tends to require less ongoing maintenance and can contribute to a more inviting appearance, making it easier to enjoy the space without concern about pest-related nuisances or damage.

Get Ants Extermination Service Quotes

  • Ants Extermination - needed when ants invade homes or businesses in areas like Rowlett, TX and surrounding communities.
  • Ants Extermination - suitable for eliminating ant colonies that threaten outdoor gardens or landscaping.
  • Ants Extermination - required when ant trails are found inside residential or commercial properties.
  • Ants Extermination - essential for preventing ant infestations in new construction or renovation projects.
  • Ants Extermination - advised when persistent ant problems occur despite initial treatment efforts.

Get Ants Extermination Service Quotes

Ants Extermination Service
Ants Extermination Service
Ants Extermination Service

Ants extermination services involve identifying and eliminating ant infestations within residential, commercial, or industrial properties. Professionals typically conduct thorough inspections to locate ant colonies and determine the species involved. Treatment methods may include the application of targeted baits, insecticides, or barriers designed to eradicate existing colonies and prevent future invasions. These services aim to address the root causes of ant problems, ensuring a comprehensive approach to pest control.

Ant infestations can create numerous issues for property owners, including structural damage, contamination of food supplies, and general nuisance. Certain ant species, such as fire ants, can pose health risks through painful stings or allergic reactions. Additionally, carpenter ants may compromise the integrity of wooden structures by tunneling and nesting within walls or furniture. Extermination services help mitigate these problems by controlling the ant population and reducing the likelihood of recurring invasions.

Various types of properties benefit from ants extermination services, ranging from single-family homes to larger commercial buildings. Residential properties often seek assistance to protect kitchens, basements, and outdoor living areas from ant activity. Businesses, especially those involved in food service or retail, rely on pest control services to maintain hygiene standards and prevent infestations that could affect operations. Additionally, property managers and landlords may utilize these services to uphold property value and ensure a pest-free environment for tenants.

Engaging with local pest control providers ensures that property owners receive tailored solutions suited to their specific needs. These professionals typically use industry-standard methods to manage ant problems efficiently and discreetly. Whether addressing a minor nuisance or a significant infestation, connecting with experienced service providers can help property owners maintain pest-free spaces and minimize the impact of ant activity on daily life and operations.

The overview below groups typical Ants Extermination Service projects into broad ranges so you can see how smaller, mid-sized, and larger jobs often compare in Rowlett, TX.

In many markets, a large share of routine jobs stays in the lower and middle ranges, while only a smaller percentage of projects moves into the highest bands when the work is more complex or site conditions are harder than average.

Initial Inspection - The cost for an ant inspection typically ranges from $50 to $150, depending on the property size and complexity. Some providers may charge a flat fee or include the inspection with treatment services.

Per-Visit Treatment - Single-treatment services generally cost between $100 and $300. Prices vary based on the extent of infestation and the treatment method used by local service providers.

Monthly Maintenance - Ongoing monthly ant control plans can range from $40 to $80 per month. These plans often include regular treatments and monitoring to prevent future infestations.

Full-Service Packages - Comprehensive ant extermination packages, which include multiple treatments and follow-up visits, typically cost between $200 and $600. The total depends on property size and severity of the ant problem.

Actual totals will depend on details like access to the work area, the scope of the project, and the materials selected, so use these as general starting points rather than exact figures.

Get an Ants Extermination Service Quote

Ants Extermination services involve professional contractors who specialize in identifying ant infestation sources and implementing targeted removal methods to eliminate colonies.

Ants Control providers use various techniques to remove ants from residential and commercial properties, helping to prevent future invasions.

Ants Pest Management solutions include inspection, baiting, and treatment options designed to address different types of ant species effectively.

Ants Removal services focus on safely and efficiently eradicating ants while minimizing disruption to the property environment.

Ants Infestation Treatment experts assess the extent of ant activity and apply appropriate treatments to resolve ongoing problems.

Ants Prevention strategies offered by local pros include sealing entry points and advising on habitat modifications to reduce ant attraction.

Ants Extermination Service

When selecting a professional for ant extermination services, experience is a key factor to consider. Homeowners should look for local providers with a proven track record in pest control, particularly in managing ant infestations similar to their own. Established companies often have extensive knowledge of common ant species in the Rowlett, TX area and surrounding communities, which can contribute to more effective treatment strategies. Reputable providers typically highlight their years of service and expertise, helping homeowners gauge their familiarity with local pest challenges.

Clear communication and written expectations are essential components of a successful pest control experience. Homeowners are encouraged to seek local pros who provide detailed service descriptions, including the scope of work, treatment methods, and any follow-up procedures. Transparent communication ensures that homeowners understand what services will be performed and what to expect afterward, reducing potential misunderstandings. Providers who prioritize open dialogue and provide comprehensive written information can help foster confidence and clarity throughout the process.

Reputation and references from other local homeowners can serve as valuable indicators of a pest control provider’s reliability. Homeowners may want to inquire about previous client experiences or seek recommendations within their community. Additionally, reputable local pros often maintain a professional reputation by consistently delivering quality service and maintaining good standing within the community. Effective communication and positive references are often signs of a trustworthy provider, helping homeowners make informed decisions when choosing an ant extermination service.

Get an Ants Extermination Service Quote

Property owners in Rowlett, TX use Ants Extermination Service services for practical projects around their homes and businesses. The sections below highlight everyday jobs and straightforward project options.

Ants Extermination Service
Ants Extermination Service

Ants extermination services are commonly sought after by property owners in Rowlett, TX, facing persistent ant invasions in residential or commercial spaces. These unwanted pests can appear suddenly, especially during warmer months, and may invade kitchens, pantries, or outdoor areas, creating discomfort and potential contamination. Local service providers can assist with identifying the source of the infestation and implementing targeted treatments to eliminate ants effectively, helping property owners restore a clean and pest-free environment.

Property owners in Rowlett might also seek ant extermination services due to ongoing issues with ant trails or recurring sightings despite previous attempts at control. In some cases, ant colonies can be difficult to eradicate without professional assistance, particularly when nests are located in hard-to-reach areas like wall voids or beneath foundations. Local pest control specialists can offer solutions tailored to the specific needs of the property, aiming to prevent future infestations and maintain a comfortable living or working space.

Get an Ants Extermination Service Quote

How do ant extermination services work? Ant extermination services typically involve inspecting the property to identify ant colonies, applying targeted treatments to eliminate nests, and providing recommendations to prevent future infestations.

Are ant extermination treatments safe for pets and children? Many local pros use treatments that are safe when applied properly; it is advisable to discuss safety concerns with the service provider before treatment.

How long does an ant extermination treatment take? The duration varies depending on the extent of the infestation and the treatment method, but most services are completed within a few hours.

Will I need multiple treatments to get rid of ants? Some ant infestations may require more than one treatment to fully eliminate all colonies and prevent recurrence.

What should I do before a pest control technician arrives? It is recommended to clear the area where treatments will be applied and follow any specific instructions provided by the service provider.

Ants Extermination Solutions - Local service providers offer targeted treatments to eliminate ant infestations effectively.

Inspection and Prevention Advice - Pros can identify entry points and recommend measures to prevent future ant problems.

Eco-Friendly Treatment Options - Many providers utilize safe and effective methods to control ants without harmful chemicals.

Ongoing Monitoring and Support - Professionals can provide ongoing assessments to ensure ants do not return to residential or commercial properties.

Ants Extermination Service

Considering Ants Extermination Service for a property in Rowlett, TX? The sections above highlight common project types, practical options, and details that often shape the scope of work.

When you are ready, use the quote form to share a few details about your project. Local pros can review the basics and respond with options that match what you have in mind.

Get an Ants Extermination Service Quote

Ants Extermination Quotes

Our Trusted Partners
Cantu Pest Control
Orkin
Hawx Pest Control