Local Service Overview

Get Ants Extermination Service in Kaufman County, TX

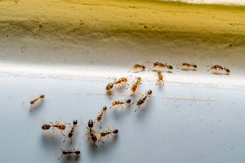
Ants extermination services for property owners in Kaufman County, TX, and nearby areas address ant infestations, prevent future outbreaks, and handle residential and commercial pest control projects.

Kaufman County, TX

Ants extermination services provide property owners in Kaufman County, TX with an effective solution to prevent and eliminate ant infestations. These services help maintain a comfortable living environment by reducing unwanted pests that can invade homes and businesses, ensuring spaces remain safe and functional. By addressing ant problems promptly, property owners can enjoy peace of mind knowing their property’s integrity and appearance are preserved, while also minimizing potential damage caused by persistent ant activity.

Engaging professional extermination services offers several practical benefits, including enhanced durability and reduced maintenance needs. Proper pest control helps protect structures from potential harm, such as chewed wiring or compromised foundations, which can lead to costly repairs. Additionally, a pest-free property boosts curb appeal, making outdoor spaces more inviting and visually appealing. Overall, effective ant extermination supports the comfort, safety, and long-term functionality of properties across Kaufman County.

Get Ants Extermination Service Quotes

  • Ants Extermination - Needed when ants invade kitchens, pantries, or other indoor spaces in residential or commercial properties.
  • Ants Extermination - Recommended for properties experiencing persistent ant trails or nests outdoors near gardens or building foundations.
  • Ants Extermination - Suitable for areas with ant colonies that threaten to spread into living or working environments.
  • Ants Extermination - Necessary when ant activity is observed around patios, decks, or outdoor dining areas in nearby neighborhoods.
  • Ants Extermination - Suitable for properties in regions with seasonal ant activity or after previous treatments have failed.

Get Ants Extermination Service Quotes

Ants Extermination Service
Ants Extermination Service
Ants Extermination Service

Ants extermination services involve the identification and removal of ant infestations within residential, commercial, or industrial properties. Professionals typically conduct thorough inspections to determine the extent of the ant problem and identify the species involved. Treatment methods may include targeted application of insecticides, baiting systems, or other pest control techniques designed to eliminate ants at their source. The goal is to reduce or eradicate ant populations, preventing further intrusion and damage.

Ant infestations can cause a variety of issues for property owners. They often contaminate food supplies, damage structures by nesting within walls or foundations, and create unsanitary conditions. In some cases, ants can also trigger allergic reactions or exacerbate health concerns for residents or employees. Effective extermination services help address these problems by controlling and removing ant colonies, thereby reducing the risk of ongoing infestations and related property damage.

Properties that typically utilize ant extermination services include single-family homes, apartment complexes, restaurants, and retail stores. Residential properties are frequently affected by ants seeking food and water sources, especially during warmer months. Commercial establishments, particularly those involved in food handling or storage, rely on professional pest control to maintain hygiene standards and comply with health regulations. Additionally, property managers and landlords often seek these services to ensure tenant satisfaction and prevent pest-related complaints.

Professional ant extermination services are tailored to meet the specific needs of each property type and infestation level. Local pest control providers offer a range of solutions designed to effectively target ant colonies and prevent future invasions. Contacting a local service provider can help property owners and managers find the right treatment plan to address their ant problems efficiently and effectively.

The overview below groups typical Ants Extermination Service projects into broad ranges so you can see how smaller, mid-sized, and larger jobs often compare in Kaufman County, TX.

In many markets, a large share of routine jobs stays in the lower and middle ranges, while only a smaller percentage of projects moves into the highest bands when the work is more complex or site conditions are harder than average.

Per-Visit Cost - Ant extermination services typically range from $100 to $300 per visit, depending on the extent of the infestation. For small areas, costs may be closer to $100, while larger or more severe cases can reach $300 or more.

Initial Treatment Package - The initial treatment for ant control usually costs between $150 and $350. This includes inspection, treatment, and sometimes follow-up visits to ensure the ants are eradicated.

Quarterly Service Plans - Ongoing quarterly ant control plans generally cost between $200 and $600 annually. These plans often include regular inspections and treatments to prevent future infestations.

Area-Based Pricing - Pricing can vary based on property size, with services for small homes costing around $150 to $250. Larger properties or commercial spaces may incur costs from $300 to $700 or more, depending on the scope of work.

Actual totals will depend on details like access to the work area, the scope of the project, and the materials selected, so use these as general starting points rather than exact figures.

Get an Ants Extermination Service Quote

Ants Extermination services involve professional removal of ant colonies from residential and commercial properties in Kaufman County, TX and nearby areas.

Local pros provide targeted treatments to eliminate ant infestations and prevent future re-infestations.

Ants Extermination services include inspection, treatment application, and advice on reducing attractants around the property.

Specialized ant control solutions are available for different species commonly found in the region.

Professionals use effective methods to ensure thorough eradication of ants from indoor and outdoor spaces.

Contacting local ant extermination specialists can help address ant problems efficiently and safely.

Ants Extermination Service

When selecting a professional for ant extermination services, experience is an important factor to consider. Local providers often have extensive knowledge of ant behavior and common infestation patterns specific to the Kaufman County area and neighboring communities. Experienced pros are familiar with effective treatment methods and can tailor solutions to different property types, whether residential or commercial. Reviewing the backgrounds of local service providers can help identify those with a proven track record of successful ant control, contributing to more reliable results.

Clear communication and defined expectations are essential when working with a pest control contractor. Reputable local pros typically provide detailed explanations of their treatment processes, including the scope of work, any preparations needed, and post-treatment care instructions. Establishing transparent communication helps ensure that homeowners understand what to expect and can address any questions or concerns throughout the service process. Reliable providers often emphasize open dialogue, which can contribute to a smoother experience and better outcomes.

Reputable references and reviews are valuable resources for evaluating local ant extermination services. Many service providers in the area can furnish references or showcase testimonials from past clients, reflecting their professionalism and effectiveness. It is advisable to seek out local options with positive feedback from previous customers, as this can offer insights into the quality of work and customer service. By considering these references, homeowners can make more informed decisions when choosing a local contractor for ant control needs.

Get an Ants Extermination Service Quote

Property owners in Kaufman County, TX use Ants Extermination Service services for practical projects around their homes and businesses. The sections below highlight everyday jobs and straightforward project options.

Ants Extermination Service
Ants Extermination Service

Ants extermination services are commonly sought by property owners in Kaufman County, TX, when they notice ant activity around their homes or businesses. Ant invasions can occur indoors or outdoors, often triggered by food crumbs, moisture, or seasonal changes. Property owners may look for professional assistance to eliminate existing ant colonies and prevent future infestations, especially in areas where ants can disrupt daily routines or compromise cleanliness.

In addition to visible ant problems, property owners might seek extermination services to address recurring issues that simple DIY methods cannot resolve. Common reasons include the presence of large colonies, difficulty locating the nest, or the need to treat multiple areas such as kitchens, basements, or outdoor landscapes. Local pros can provide targeted solutions to help maintain a pest-free environment and protect the property’s value.

Get an Ants Extermination Service Quote

How do ant extermination services work? Ant extermination services typically involve inspecting the property to identify ant entry points and nests, followed by targeted treatments to eliminate the colonies and prevent future infestations.

Are the treatments safe for pets and children? Many local pros use treatment methods that are safe for pets and children, but it is recommended to discuss any concerns with the service provider beforehand.

How long does an ant extermination treatment take? The duration of treatment varies depending on the extent of the infestation, but most services can be completed within a few hours.

Will I need multiple treatments to control ants? Some ant species may require multiple treatments for complete control, especially if the infestation is severe or persistent.

How can I prevent future ant problems? Local pros often recommend sealing entry points, maintaining clean surroundings, and removing attractants to help prevent future ant issues.

Ants Extermination Solutions - Local service providers offer targeted treatments to eliminate ant colonies and prevent future infestations.

Inspection and Identification - Professionals assess the extent of ant activity and identify species to determine the most effective extermination approach.

Residential and Commercial Services - Local pros provide ant control services for homes, businesses, and other properties in Kaufman County and nearby areas.

Preventive Pest Management - Experts recommend ongoing strategies to reduce the likelihood of ant re-infestation and maintain pest-free environments.

Ants Extermination Service

Considering Ants Extermination Service for a property in Kaufman County, TX? The sections above highlight common project types, practical options, and details that often shape the scope of work.

When you are ready, use the quote form to share a few details about your project. Local pros can review the basics and respond with options that match what you have in mind.

Get an Ants Extermination Service Quote

Ants Extermination Quotes

Our Trusted Partners
Cantu Pest Control
Orkin
Hawx Pest Control