Local Service Overview

Get Ants Extermination Service in Hutchins, TX

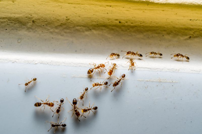
Ants extermination services for property owners in Hutchins, TX, and nearby areas address ant infestations, prevent future invasions, and handle residential and commercial pest control projects.

Hutchins, TX

Ants extermination services in Hutchins, TX provide property owners with an effective solution to eliminate ant infestations that can disrupt daily life. Addressing ant issues promptly helps maintain a comfortable and safe living or working environment by preventing potential damage to structures and minimizing the risk of pest-borne illnesses. These services often focus on creating a barrier that reduces the likelihood of future invasions, contributing to a more functional and durable property.

Choosing professional ant extermination can also enhance curb appeal by keeping outdoor spaces tidy and free of pests. Property owners typically seek solutions that reduce ongoing maintenance needs and improve overall property durability. By partnering with experienced service providers, residents and business owners can enjoy a more inviting, safe, and well-maintained environment that preserves the property's value over time.

Get Ants Extermination Service Quotes

  • Ants Infestation Removal - needed when ants invade kitchens, pantries, or living spaces in residential or commercial properties.
  • Ant Control for Gardens - required to protect plants and soil from ant colonies in outdoor garden areas around Hutchins, TX.
  • Preventive Ant Treatments - used to deter future ant invasions in homes and businesses in nearby neighborhoods.
  • Ant Nest Elimination - necessary when large colonies are discovered in basements, walls, or yard areas.
  • Emergency Ant Extermination - sought when ant problems escalate suddenly, causing immediate concerns for property owners.

Get Ants Extermination Service Quotes

Ants Extermination Service
Ants Extermination Service
Ants Extermination Service

Ants extermination services involve identifying and eliminating ant infestations within residential, commercial, or industrial properties. Professionals typically conduct thorough inspections to locate ant colonies and determine the species involved, which can influence the most effective treatment methods. Treatment options may include targeted baiting, liquid insecticides, or dust applications designed to eradicate ants at their source. The goal is to reduce or eliminate ant populations, preventing further intrusion and damage to property or stored goods.

These services help resolve common problems associated with ant invasions, such as property damage, contamination of food supplies, and general nuisance. Ants can be persistent and difficult to control without specialized treatments, especially when colonies are established inside walls, beneath flooring, or in outdoor landscaping. Effective extermination not only removes visible ants but also addresses the root of the infestation, minimizing the likelihood of future invasions and reducing the need for repeated treatments.

Ant extermination services are often utilized in various property types, including private residences, apartment complexes, restaurants, and retail establishments. Homes with gardens or outdoor spaces are particularly vulnerable to ant incursions, especially during warmer months. Commercial properties such as food service facilities or warehouses may seek professional help to ensure sanitation and prevent contamination. In all cases, the services aim to provide a comprehensive solution tailored to the specific needs of the property and the severity of the infestation.

Professional ant extermination providers employ a range of techniques to suit different property requirements and infestation levels. They may recommend ongoing monitoring or preventative measures to keep ants at bay after initial treatment. Whether dealing with a small indoor problem or a large outdoor colony, contacting local pest control specialists can help manage and eliminate ant issues efficiently. These experts are equipped to handle various scenarios, ensuring that properties remain ant-free and comfortable for occupants.

The overview below groups typical Ants Extermination Service projects into broad ranges so you can see how smaller, mid-sized, and larger jobs often compare in Hutchins, TX.

In many markets, a large share of routine jobs stays in the lower and middle ranges, while only a smaller percentage of projects moves into the highest bands when the work is more complex or site conditions are harder than average.

Initial Inspection - The cost for an ant inspection typically ranges from $50 to $150, depending on the property size and complexity. This fee covers identifying ant species and infestation severity. Some providers include the inspection in their overall treatment costs.

Basic Treatment - A standard ant extermination service usually costs between $100 and $300. This includes applying targeted treatments around entry points and infested areas. Prices can vary based on the extent of the infestation and property size.

Full Property Treatment - Complete property treatments in Hutchins may range from $200 to $500. Larger properties or severe infestations tend to increase the cost. Service providers may recommend multiple visits for thorough eradication.

Ongoing Prevention - Preventive services, such as barrier treatments or monthly inspections, generally cost between $50 and $150 per visit. Regular maintenance helps keep ants from returning and varies with property size and treatment scope.

Actual totals will depend on details like access to the work area, the scope of the project, and the materials selected, so use these as general starting points rather than exact figures.

Get an Ants Extermination Service Quote

Ants Extermination services involve professionals who specialize in identifying and eliminating ant colonies within residential and commercial properties in Hutchins, TX. They utilize targeted treatment methods to address ant infestations effectively.

Ants Control for Homes includes tailored solutions to remove ants from living spaces, ensuring a pest-free environment for families in Hutchins and nearby areas. Local service providers focus on safe and efficient removal techniques.

Commercial Ants Removal services are available for business properties requiring professional intervention to manage ant problems that could affect operations or customer experience in Hutchins, TX. Experts provide customized treatment plans for commercial settings.

Outdoor Ants Treatment involves applying treatments to yards, gardens, and exterior structures to prevent ant populations from entering indoor spaces in Hutchins and surrounding communities. These services help protect property perimeters from infestations.

Ants Inspection and Prevention services include thorough assessments to identify ant entry points and nesting sites, along with recommendations to prevent future invasions in Hutchins homes and businesses. Local pros offer ongoing prevention strategies.

Eco-Friendly Ants Extermination options are available from providers who utilize environmentally conscious methods to control ant populations in Hutchins, TX. These services aim to minimize chemical use while effectively managing pests.

Ants Extermination Service

When evaluating local ants extermination service providers, experience is an important consideration. Homeowners should look for professionals who have a proven track record in handling ant infestations within the Hutchins, TX area. An experienced contractor is more likely to be familiar with the specific types of ants common to the region and to have developed effective treatment strategies over time. Reputable local providers often highlight their years of service and successful project histories, which can serve as indicators of their capability to address unique pest control challenges effectively.

Clear communication and defined expectations are essential when working with ants extermination specialists. Pros should be transparent about the scope of their services, the methods they employ, and any preparations homeowners may need to undertake. Open dialogue helps ensure that homeowners understand what to expect from the treatment process and can ask questions or express concerns beforehand. Reliable providers typically prioritize clear, ongoing communication to keep clients informed throughout the service, fostering a smoother experience and reducing misunderstandings.

Reputable references and testimonials can provide valuable insights into the quality of local ants extermination services. Homeowners are encouraged to seek out providers with positive feedback from previous clients in the Hutchins area or nearby communities. While the information below connects users with local service providers, it does not perform the work itself. Potential clients should consider reviews and references as part of their research to gauge a contractor’s reputation for professionalism, effectiveness, and customer satisfaction. Reliable providers often have a history of satisfied clients, which can help inform the decision-making process.

Get an Ants Extermination Service Quote

Property owners in Hutchins, TX use Ants Extermination Service services for practical projects around their homes and businesses. The sections below highlight everyday jobs and straightforward project options.

Ants Extermination Service
Ants Extermination Service

Ants extermination services are often sought by property owners in Hutchins, TX, dealing with common household invasions. Ants can be attracted to food spills, moisture, or clutter, leading to persistent infestations that disrupt daily life. Local professionals are frequently contacted to identify entry points, assess the severity of the problem, and implement targeted treatments to eliminate colonies and prevent future invasions.

In addition to kitchen and pantry issues, property owners may seek ant extermination when noticing trails or nests near foundations, gardens, or outdoor structures. These pests can sometimes indicate larger infestations that require professional intervention to ensure the safety and comfort of the home environment. Local service providers are available to evaluate the situation and recommend appropriate solutions for ongoing pest management.

Get an Ants Extermination Service Quote

How do ant extermination services work? Ant extermination services typically involve inspecting the property, identifying ant species and entry points, and applying targeted treatments to eliminate colonies and prevent future infestations.

Are ant treatments safe for children and pets? Many ant extermination methods are designed to be safe for households with children and pets, but it’s best to consult with local service providers about specific products used.

How long does an ant extermination treatment last? The duration of effectiveness varies depending on the treatment method and extent of the infestation; local pros can provide guidance tailored to individual situations.

Will I need multiple treatments for ants? Depending on the severity of the ant problem, additional treatments may be necessary; local service providers can recommend a suitable plan.

How can I prevent future ant infestations? Prevention tips include sealing entry points, maintaining cleanliness, and removing food sources; local ant extermination services can offer personalized advice.

Ants Prevention Strategies - Local pest control providers can advise on effective measures to prevent ant infestations around residential and commercial properties.

Inspection Services - Professionals can perform thorough inspections to identify ant entry points and nesting areas to develop targeted treatment plans.

Extermination Solutions - Experienced service providers offer various treatment options to eliminate ant colonies and reduce future activity.

Follow-up Treatments - Regular follow-up services help ensure ant problems are fully resolved and do not recur.

Ants Extermination Service

Considering Ants Extermination Service for a property in Hutchins, TX? The sections above highlight common project types, practical options, and details that often shape the scope of work.

When you are ready, use the quote form to share a few details about your project. Local pros can review the basics and respond with options that match what you have in mind.

Get an Ants Extermination Service Quote

Ants Extermination Quotes

Our Trusted Partners
Cantu Pest Control
Orkin
Hawx Pest Control